• CONDITIONS
  • TREATMENTS
    • Acne
      • Laser for Acne Scars
      • IPL for Acne
    • Cellulite Reduction & Skin Smoothing
      • NuEra
    • Skin Rejuvenation and Resurfacing
      • IPL Photorejuvenation
      • ResurFX
      • Photofractional
      • Photofractional Stretch Marks
      • DeepFX -ActiveFX
      • PicoFractional for skin rejuvenation
      • Legend M²™
    • Hair Removal
      • LightSheer Hair Removal
      • IPL Hair Removal
      • SPLENDOR X
    • Pigmentation and Tattoo Removal
      • IPL Photorejuvenation
      • PiQo4 Tattoo Removal
      • QSwitched Tattoo removal
      • PiQo4 for pigmentation
    • Scars
      • DeepFX / ActiveFX
      • UltraPulse SCAARFX
      • ResurFX
    • Vaginal Treatment
      • FemTouch
    • Vein And Vascular
  • MEDIA
  • SKIN CARE TIPS
  • TESTIMONIALS
    • PATIENT’S TESTIMONIALS
    • PHYSICIAN’S TESTIMONIALS
  • RESULTS GALLERY
  • ABOUT US
  • Contact Us
  • FOR PHYSICIANS
  • Privacy Statement
  • Terms Of Use
  • Safety Information
  • Cookie Settings
  • FOR PHYSICIANS
  • CONDITIONS
    • Acne
    • Age Spots And Sun Spots
    • Birthmarks
    • Broken Facial Capillaries
    • Fine Lines And Wrinkles
    • Freckles
    • Leg Veins
    • Rosacea
    • Unwanted Hair
    • Scars
    • Stretch Marks
    • Vaginal Health
  • TREATMENTS
    • Acne
      • Laser for Acne Scars
      • IPL for Acne
    • Cellulite Reduction & Skin Smoothing
      • NuEra
    • Skin Rejuvenation and Resurfacing
      • IPL Photorejuvenation
      • ResurFX
      • Photofractional
      • Photofractional For Stretch Marks
      • DeepFX / ActiveFX
      • PicoFractional for skin rejuvenation
      • Legend M²™
    • Hair Removal
      • LightSheer Laser Hair Removal
      • IPL Hair Removal
      • SPLENDOR X
    • Pigmentation and Tattoo Removal
      • IPL Photorejuvenation
      • PiQo4 Tattoo Removal
      • QSwitched Tattoo removal
      • PiQo4 for pigmentation
    • Scars
      • DeepFX / ActiveFX
      • UltraPulse SCAARFX
      • ResurFX
    • Women’s health Treatment
      • FemTouch
    • Vein And Vascular
  • MEDIA
  • SKIN CARE TIPS
  • TESTIMONIALS
    • Patients’ Testimonials
    • Physicians’ Testimonials
  • FIND A CENTER

28-2

Find a Center

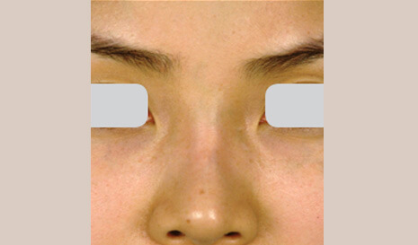
Homepage > Conditions > Broken facial capilaries > 28 - Lin Xiaoxi

28-2

28-1

Find A Center near you
FIND A CENTER
  • Contact Us
  • RESULTS GALLERY
  • PHYSICAN’S REGISTRATION
  • Patients
  • About Us
  • Privacy Statement
  • Terms Of Use
  • Important Safety Information
  • AGE SPOTS & SUN SPOTS
  • ACNE SCAR
  • BIRTHMARKS
  • BROKEN FACIAL CAPILLARIES
  • LEG VEINS
  • FINE LINES & WRINKLS
  • FRECKLES
  • Rosacea
  • Your Privacy Choices
FOLLOW US
  • Facebook
  • Twitter
  • Youtube
  • Instagram
  • Privacy Statement
  • Terms Of Use
  • Safety Information
  • Cookie Settings
Copyright © 2015- Lumenis Be Ltd. All Rights Reserved